¿Cómo se forman los huracanes y por qué son tan peligrosos?
Te explicamos cómo se forman los huracanes y por qué son tan destructivos, especialmente en zonas costeras.

Durante la temporada de huracanes en México, las alertas meteorológicas se intensifican, especialmente en las zonas costeras. Entender cómo se forman los huracanes, qué condiciones los generan y por qué pueden ser tan destructivos, es fundamental para prevenir daños.
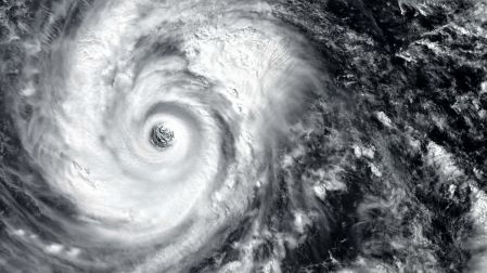
Los huracanes no solo son tormentas comunes: se trata de sistemas complejos que pueden liberar cantidades masivas de energía, con capacidad de alterar comunidades enteras y generar emergencias por lluvias, vientos y marejadas. Pero ¿cómo se forman realmente estos fenómenos y qué los vuelve tan destructivos?
¿Cómo nacen los huracanes?
Según la Administración Nacional Oceánica y Atmosférica de los Estados Unidos (NOAA), los huracanes obtienen su energía de las aguas cálidas del océano y las tormentas eléctricas.
Te recomendamos: ¿Cuántos huracanes en el Atlántico habrá este 2025 y cómo se llamarán?
Estos sistemas meteorológicos, conocidos técnicamente como ciclones tropicales, surgen cuando se combinan ciertas condiciones climáticas específicas, mayormente en las zonas tropicales del planeta.
Factores necesarios para la formación de un huracán:
- Perturbación preexistente: La mayoría de los huracanes comienzan como una onda tropical, una región de baja presión que atraviesa el océano transportando humedad y aumentando la actividad de lluvias y tormentas eléctricas.
- Aguas cálidas: El mar debe tener una temperatura mínima de 26.5 grados Celsius hasta al menos 50 metros de profundidad. Este calor es fundamental, ya que proporciona la energía que impulsa el desarrollo del ciclón.
- Tormentas eléctricas activas: Estas tormentas son esenciales para transformar el calor del océano en energía dinámica. El aire caliente asciende desde la superficie, se enfría en las alturas y forma nubes, liberando calor latente en el proceso.
- Baja cizalladura del viento: Es decir, que no haya grandes variaciones en la velocidad o dirección del viento en distintos niveles de la atmósfera. Si hay mucha cizalladura, la estructura del ciclón se desorganiza y su crecimiento se ve limitado.

Cuando todos estos elementos se alinean, una onda tropical puede evolucionar gradualmente hasta convertirse en una depresión tropical, luego en tormenta tropical, y finalmente en un huracán si los vientos sostenidos superan los 119 kilómetros por hora.
De manera simplificada, el huracán se forma cuando el aire cálido del océano asciende hacia una perturbación atmosférica. Al subir, el aire se enfría, formando nubes y tormentas. Esa condensación libera calor, lo que reduce aún más la presión en la superficie, atrayendo más aire hacia el centro del sistema. Así se genera un ciclo de retroalimentación que refuerza la tormenta.
¿Por qué los huracanes son tan peligrosos?
Los huracanes son destructivos por varias razones combinadas, no solo por sus vientos, sino por la interacción de varios elementos meteorológicos:
1. Vientos intensos
De acuerdo con la NOAA, los huracanes tienen “vientos furiosos” que pueden superar los 119 km/h, y en huracanes de categoría 5, la más alta en la escala Saffir-Simpson, pueden superar los 250 km/h. Estos vientos tienen la capacidad de derribar árboles, postes eléctricos, destruir viviendas e infraestructura.
2. Lluvias torrenciales
Las lluvias que acompañan a los huracanes pueden generar inundaciones repentinas, deslaves y acumulaciones de agua que afectan a zonas urbanas y rurales. En muchos casos, la lluvia puede extenderse incluso a cientos de kilómetros del centro del huracán.

3. Marejadas ciclónicas
Una de las amenazas más letales es la marejada ciclónica, que ocurre cuando los fuertes vientos empujan el agua del mar hacia la costa, elevando el nivel del mar entre 1 y 6 metros o más. Esta subida súbita puede inundar comunidades costeras en minutos.
4. Energía masiva
Un dato menos conocido, pero impactante, es que un huracán genera una enorme cantidad de energía. De hecho, los vientos de un huracán liberan aproximadamente la mitad de la energía generada por toda la red eléctrica del planeta. Y la formación de nubes y lluvias en una sola tormenta puede liberar una energía hasta 400 veces superior.
Esta capacidad energética convierte a los huracanes en uno de los fenómenos naturales más poderosos del planeta.
Preparación y prevención
Ante la llegada de la temporada de huracanes, es fundamental que la población se mantenga informada a través de fuentes oficiales como el Servicio Meteorológico Nacional (SMN) y la Coordinación Nacional de Protección Civil.
Medidas clave a considerar:
- Tener a la mano una mochila de emergencia con agua, alimentos no perecederos, documentos importantes, linterna, radio y botiquín.
- Identificar rutas de evacuación y refugios temporales en caso de alerta.
- Evitar circular o permanecer cerca de ríos, laderas inestables o zonas costeras durante la tormenta.
- Seguir las instrucciones de las autoridades locales y no confiar en rumores o información no verificada.
EL EDITOR RECOMIENDA



