Huracán 'Delta' categoría 3, muy cerca de las costas de Quintana Roo
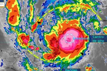
La Comisión Nacional del Agua indicó que el huracán se localizaba a 55 km al este-noreste de Cozumel, Quintana Roo

CIUDAD DE MÉXICO.
La Comisión Nacional del Agua indicó que el centro del peligroso Huracán ‘Delta’ categoría 3 en la escala Saffir-Simpson, se encontraba muy cerca de las costas de Quintana Roo en su reporte de las 04:15 horas.
Indicó que se localizaba a 55 km al este-noreste de Cozumel, Quintana Roo, con lluvias intensas a torrenciales en la Península de Yucatán y originará vientos fuertes con rachas de 150 a 240 km/h, oleaje de 5 a 9 metros de altura y una marea de tormenta de 1 a 2 metros de altura en el norte de Quintana Roo y de 2 a 4 metros en las costas de Yucatán.
En su cuenta de Twitter el gobernador de Quintana Roo, indicó también que el huracán está a punto de entrar al estado.
Nobel por descifrar los agujeros negros
Volcadura de camión provoca problemas viales en Rómulo O'farril
Los Jefes marchan 4-0 por cuarta campaña consecutiva
EL EDITOR RECOMIENDA





