Al menos 31 muertos tras el paso del ciclón Gezani en Madagascar
Ráfagas de hasta 250 km/h arrasaron la segunda ciudad más grande del país africano.

Al menos 31 personas murieron en Madagascar por el paso del ciclón Gezani, que golpeó la noche del martes la segunda ciudad más grande del país, Toamasina, anunciaron este miércoles las autoridades locales.
"Lo que pasó es una catástrofe: casi el 75 por ciento de la ciudad de Toamasina fue destruida", afirmó ante las cámaras el coronel Michaël Randrianirina, quien tomó el poder en octubre.
Ráfagas de hasta 250 km/h barrieron esta ciudad portuaria de cerca de 400 mil habitantes, donde otras cuatro personas siguen en paradero desconocido y 36 resultaron heridas, según la Oficina Nacional de Gestión de Riesgos y Catástrofes (BNGRC).
En un video aéreo compartido por la oficina puede apreciarse cómo quedaron levantados los tejados de chapa de la ciudad. Las palmeras de la céntrica avenida de la Independencia estaban completamente dobladas.
Es el caos total, el 90 por ciento de las cubiertas de las casas salieron volando, totalmente o en parte", dijo Rija Randrianarisoa, un responsable regional de la oenegé Acción contra el Hambre.
"Las carreteras están impracticables, por los árboles y los tejados de chapa caídos. Los coches no pueden circular", añadió.
Según las autoridades malgaches, las calles están cubiertas de cientos de árboles arrancados por el ciclón, que ha dejado más de 250 mil damnificados.
La Oficina Nacional de Gestión de Riesgos y Desastres reportó que el derrumbe de edificios causó algunas de lasmuertes. También informó que 15 personas estaban desaparecidas y que más de 2 mil 700 fueron evacuadas.
La oficina de Randrianirina indicó que alrededor del 75 por ciento de la infraestructura de la ciudad había sido dañada o destruida.
Es una devastación. Los tejados han sido arrancados, las paredes se han derrumbado, los postes de electricidad están caídos, los árboles han sido arrancados de raíz. Parece un paisaje catastrófico”, contó por teléfono Michel, residente de Toamasina que solo se identificó con su nombre.
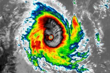
La ciudad se vio alcanzada por el ojo del ciclón. El centro de ciclones de la isla francesa de La Reunión, en el Índico, habló en su boletín de "uno de los impactos directos más intensos de la era satelital".
Gezani cruzará el canal de Mozambique y podría golpear a partir del viernes por la noche el sur de este país de África austral, ya afectado a inicios de año por inundaciones.
De acuerdo con cifras oficiales, Madagascar ha recibido más de una docena de tormentas tropicales o ciclones desde 2020. La Oficina de Naciones Unidas para la Reducción del Riesgo de Desastres dice que estas tormentas causan daños estimados en 85 millones de dólares a la infraestructura cada año.
Con información de AFP.
EL EDITOR RECOMIENDA



