Huracán 'Ida' toca tierra en el suroeste de Cuba
'Ida' golpea Cuba como huracán de categoría 1 en la zona de la provincia de Pinar del Río, en el oeste de Cuba.

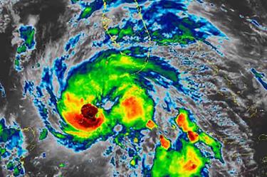
El huracán Ida de categoría 1 tocó tierra este viernes en la costa sur de la provincia de Pinar del Río, en el oeste de Cuba y actual epicentro de la pandemia del coronavirus en la isla, informó el servicio meteorológico local.
Ida, una tormenta convertida en huracán categoría 1, penetró en suelo cubano por el pueblo La Coloma, en Pinar del Río, hacia las 00H30 GMT, con vientos sostenidos de 130 km/h, indicó el Instituto de Meteorología de Cuba (Insmet).
Se espera que llegue a las costas estadounidenses el domingo como un huracán "extremadamente peligroso", según el Centro Nacional de Huracanes de Estados Unidos (NHC).
En redes sociales fueron compartidos algunos primeros videos que muestran la fuerza con la que el huracán 'Ida' llegó a Cuba.
emb