'Beryl' se convierte en huracán categoría 5 en el Atlántico
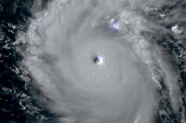
'Beryl' se convirtió hoy 1 de julio de 2024 en huracán categoría 5 en su avance por el océano Atlántico rumbo a las costas de México.

Beryl se convirtió hoy 1 de julio de 2024 en huracán categoría 5 en su avance por el océano Atlántico rumbo a las costas de México, donde se prevé que toque tierra dos veces, informó el Centro Nacional de Huracanes de Estados Unidos.
TE RECOMENDAMOS: Clima México hoy: Se esperan fuertes lluvias en Quintana Roo, Guerrero y Michoacán
El huracán se encontraba a mil 355 kilómetros al este-sureste de Kingston, Jamaica, con vientos máximos sostenidos de 260 km/h, añadió el NHC.
Beryl azotó el sureste del Caribe con fuerza de categoría 4 en la escala de cinco niveles de Saffir-Simpson, tras girar en espiral hacia las Islas de Barlovento y amenazar con inundaciones devastadoras, a medida que sus vientos letales cobraban velocidad.
"Esta es una situación extremadamente peligrosa y que pone en peligro vidas ¡Tome medidas ahora para protegerse!" dijo el Centro Nacional de Huracanes de Estados Unidos (CNH) en su último aviso, instando a los residentes de Granada, las Islas Granadinas y la isla Cariobacú a refugiarse en sus viviendas por previsiones de un rápido aumento en la velocidad de las ráfagas.
Reportan un muerto por Beryl en San Vicente
El huracán Beryl causó estragos en Granada, Barbados y Trinidad y Tobago, y amenaza incluso el sur de República Dominicana y Haití, informó el Centro Nacional de Huracanes. En las islas del Caribe dejó una “inmensa destrucción” y al menos una persona sin vida.
Ralph Gonsalves, primer ministro de San Vicente y las Granadinas, informó que al menos una persona murió por el pasp del “peligroso y destructivo” huracán Beryl en las islas Union, Mayreau y Conouan.
“Al menos una persona murió y puede haber más fallecidos. Aún no lo sabemos”, lamentó Gonsalves.
La Comisión Nacional del Agua indicó que el huracán Beryl se localiza a 825 km al este-sureste de Isla Beata, República Dominicana, y a dos mil 460 km al este-sureste de Cancún, Quintana Roo.
Presenta vientos máximos sostenidos de 260 km/h, rachas de 315 km/h y desplazamiento hacia el oeste-noroeste a 35 km/h. Por el momento, no representa peligro para el territorio mexicano.

EL EDITOR RECOMIENDA



