Huracán 'Rafael' cambia trayectoria hacia México; generará lluvias en 3 estados
El huracán 'Rafael' hará un cambio en su dirección y se acercará a México.

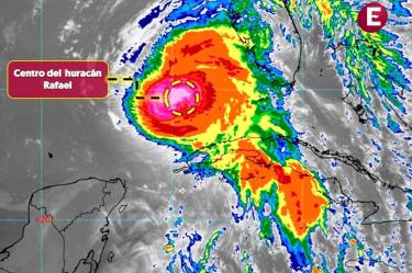
El huracán Rafael impactó ayer a Cuba como categoría 3 y actualmente se mantiene en el nivel 2, pero hizo un cambio de dirección hacia México, alertó la Comisión Nacional del Agua (Conagua); ésta es su trayectoria EN VIVO hoy 7 de noviembre de 2024.
Rafael se ubica actualmente a 290 kilómetros al oeste-noroeste de La Habana, Cuba, y a 370 kilómetros al noreste de Cabo Catoche, en Quintana Roo. El huracán presenta vientos máximos sostenidos de 155 kilómetros por hora y rachas de 195 kilómetros por hora; se desplaza hacia el oeste-noroeste a 15 kilómetros por hora.
De acuerdo con el nuevo pronóstico de su trayectoria, el huracán Rafael, que se ubica sobre el Golfo de México, hará un giro hacia el oeste, con lo que ya no se dirigirá hacia Florida, en Estados Unidos, y en su lugar se acercará a territorio mexicano.

Huracán Rafael provocará lluvias en México
Las amplias bandas nubosas del huracán Rafael, que relativamente se encuentra lejos de México, generarán humedad y favorecerán lluvias fuertes en la Península de Yucatán; los estados afectados por precipitaciones serán:
- Campeche
- Quintana Roo
- Yucatán
La Conagua alertó que las lluvias provocadas por Rafael podrían generar encharcamientos en estos tres estados, por lo que llamó a los habitantes a mantenerse informados y seguir las indicaciones de las autoridades.
Huracán Rafael: Trayectoria EN VIVO hoy 7 de noviembre de 2024
vjcm