Huracán 'Iota' llega a categoría 4 en su avance a Centroamérica
El huracán 'Iota' alcanza la categoría 4 en su camino hacia la misma zona de Centroamérica golpeada hace una semana por el huracán 'Eta'

MANAGUA.
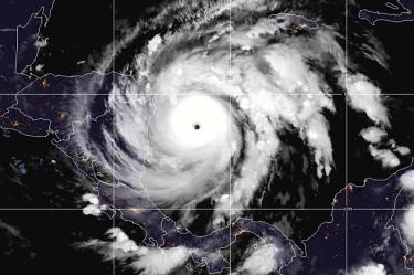
El huracán Iota avanzaba el lunes por la mañana por el oeste del Caribe, y se convirtió en una muy peligrosa tormenta de categoría 4 en su camino hacia la misma zona de Centroamérica golpeada hace una semana por el huracán Eta, otro sistema de fuerza similar.
Los meteorólogos advirtieron que Iota podría fortalecerse aún más y alcanzar la catastrófica categoría 5 para cuando tocara tierra.
Había evacuaciones en marcha en zonas bajas de Nicaragua y Honduras cerca de la frontera entre ambos países, que parecía el lugar probable en el que tocaría tierra el meteoro.
En la costa nicaragüense ya se notaban los vientos y la lluvia el domingo por la noche.
Iota se convirtió en huracán el domingo de madrugada y ganó fuerza con rapidez. Se esperaba que pasara sobre o cerca de la isla colombiana de Providencia durante la noche.
El lunes por la mañana alcanzó la peligrosa categoría 4, y el Centro Nacional de Huracanes de Estados Unidos advirtió que probablemente llegaría al territorio continental centroamericano el lunes por la noche.
Iota mostraba vientos máximos sostenidos de 230 kilómetros por hora el lunes de madrugada. Su centro estaba unos 275 kilómetros al sureste de Cabo Gracias a Dios, en la frontera entre Nicaragua y Honduras, y avanzaba hacia el oeste a 17 km/h.
Iota ya es un sistema récord por ser la 30ma tormenta con nombre de esta extraordinaria temporada de huracanes del Atlántico.
La rápida sucesión de meteoros ha atraído la atención al cambio climático, que según los científicos está causando tormentas más húmedas, fuertes y destructivas.
Alerta máxima
En Honduras, las evacuaciones obligatorias comenzaron antes del fin de semana y para el domingo por la tarde se informó de 63 mil 500 personas en 379 refugios sólo en la zona norteña, aunque todo el país estaba en alerta.
Las autoridades nicaragüenses dijeron que para última hora de la tarde del domingo, unas mil 500 personas, casi la mitad de ellas niños, habían sido evacuadas de zonas de baja altitud en el nordeste del país, incluidos todos los habitantes de Cayo Misquitos.
En la zona había 83 mil personas en peligro, según las autoridades.
El domingo en la noche comenzaron a registrarse fuertes vientos y lluvias en Bilwi, una localidad costera de Nicaragua en la que los habitantes acudieron presurosos a los mercados y ferreterías para abastecerse de cubiertas de plástico, clavos y otros materiales para reforzar sus viviendas, de la misma forma en que lo hicieron cuando el huracán Eta azotó el 3 de noviembre.
Varios residentes de Bilwi expresaron preocupación de que sus viviendas no resistan a Iota, tan pronto tras el paso de Eta. La televisión local mostró a personas siendo evacuadas en balsas de madera con niños pequeños, perros y gallinas a bordo.
Segundo huracán en días
Las autoridades advirtieron que el riesgo era elevado debido a que Iota posiblemente toque tierra en las mismas zonas en donde las lluvias torrenciales de Eta dejaron el suelo saturado, volviendo el terreno más propenso a aludes e inundaciones.
Eta causó estragos. Impactó Nicaragua como un huracán de categoría 4 y mató al menos a 120 personas luego de que las lluvias torrenciales desataron inundaciones y deslaves en partes de México y Centroamérica. Después pasó por Cuba, los cayos de Florida y el Golfo de México antes de volver a tocar tierra cerca de Cayo Cedar, Florida, y avanzar por ese estado y las Carolinas
Se esperaba que Iota descargara entre 20 y 40 centímetros de agua en el noreste de Nicaragua, Honduras, Guatemala y el sur de Belice, con hasta 75 centímetros en puntos aislados.
Además, Costa Rica y Panamá podrían sufrir aguaceros y posibles inundaciones, señaló el centro de huracanes.
La temporada de huracanes termina oficialmente el 30 de noviembre.
jrr
EL EDITOR RECOMIENDA




