"Si se quedan, morirán": Florida pide evacuar ante el poderoso huracán 'Milton'
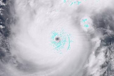
Milton avanzaba el martes por el golfo de México como un huracán de categoría 4, con vientos máximos sostenidos 240 km/h y la amenaza de causar marejadas de hasta 4.5 metros.

Las autoridades de Florida multiplicaron este martes los llamados de evacuación ante la llegada del huracán Milton, que se espera toque tierra la noche del miércoles y podría ser "la peor tormenta" en golpear la península en un siglo, advirtió el presidente Joe Biden.
Ya afectada por el destructivo paso de Helene hace diez días, que dejó más de 234 muertos, "toda la península de Florida está bajo algún tipo de alerta o advertencia", afirmó el martes el gobernador Ron DeSantis.
Milton avanzaba el martes por el golfo de México como un huracán de categoría 4, con vientos máximos sostenidos 240 km/h y la amenaza de causar marejadas de hasta 4.5 metros, según el centro de huracanes (NHC) de Estados Unidos.
Te recomendamos: Megatormentas: científicos aseguran que el cambio climático amplifica los ciclones.
Biden dijo que Milton podría ser "la peor tormenta en Florida en un siglo" y llamó a los estadounidenses en zonas de riesgo a "evacuar ahora, ahora, ahora".
Es una cuestión de vida o muerte", añadió el mandatario.
Tras debilitarse de categoría 5 a 4, se prevé que toque tierra en Florida la noche del miércoles como una tormenta de categoría 3 y que continúe como un potente huracán mientras atraviesa la península, según el NHC.
Las aerolíneas habilitaron vuelos adicionales partiendo desde Tampa, Orlando, Fort Myers y Sarasota, para aliviar el congestionamiento en las carreteras.
Milton puede ser "la peor" tormenta en azotar el área de Tampa en más de 100 años, según el NHC.
El experto en huracanes Michael Lowry advirtió que en la zona de Tampa, de unos tres millones de habitantes, la marejada ciclónica de Milton "podría duplicar los niveles" registrados hace dos semanas por Helene, que provocó grandes inundaciones.
"Si se quedan, morirán"
"Helene fue un llamado de atención. Esto es literalmente catastrófico", dijo el lunes a CNN Jane Castor, alcaldesa de la ciudad de Tampa. "Puedo decir esto sin que sea exagerado: si eligen quedarse en una de las zonas de evacuación, morirán".
Se están distribuyendo generadores, alimentos, agua y lonas por toda Florida y muchos habitantes están protegiendo sus hogares o tienen planeado irse.
Milton pasó cerca de la península de Yucatán en México la noche del lunes, provocando intensas lluvias, fuertes vientos y oleaje, pero sin que se reportaran daños mayores.
La vicepresidenta y candidata demócrata a la Casa Blanca, Kamala Harris, pidió a los residentes de Florida que "se tomen en serio" a las autoridades locales.
Floridanos, ustedes son gente tenaz que ha sufrido mucho, pero esto va a ser diferente", advirtió Harris en la cadena ABC.
En una señal de la gravedad de la situación, Biden suspendió un viaje que tenía previsto a Alemania y Angola esta semana, informó el martes la Casa Blanca.
Filas en Tampa
El sureste de Estados Unidos todavía se recupera del paso del devastador huracán Helene.
Los servicios de emergencia siguen trabajando para ayudar a las numerosas víctimas.
En una escena frenética que se repetía en varios lugares de Florida, decenas de autos hacían fila en un gimnasio en Tampa para recoger sacos de arena con los que proteger sus hogares de las inundaciones que traerá Milton.
John Gómez, de 75 años, ignoró las recomendaciones y viajó desde Chicago para intentar salvar la casa que tiene en Florida.
"Creo que es mejor estar aquí en caso de que algo suceda", dijo Gómez mientras esperaba en la fila.
Los científicos sostienen que el cambio climático probablemente juega un papel en la rápida intensificación de los huracanes, porque superficies oceánicas más cálidas liberan más vapor de agua, lo que les proporciona a las tormentas más energía y en consecuencia intensifica sus vientos.
Te recomendamos: Huracán 'Milton' se aleja de Península de Yucatán, pero mantiene lluvias.
La Oficina Nacional de Administración Oceánica y Atmosférica de Estados Unidos (NOAA) había previsto en mayo que la temporada de huracanes en el Atlántico Norte (de junio a noviembre) sería especialmente turbulenta este año debido a la temperatura de los océanos.
En plena campaña presidencial, el candidato republicano Donald Trump aprovechó la frustración real sobre la respuesta federal después de Helene y la ha alimentado con desinformación, al afirmar falsamente que el dinero federal para desastres había sido malversado y gastado en cambio en migrantes.
Su rival Harris lo tildó de "extraordinariamente irresponsable".
Con información de AFP.
ORP
EL EDITOR RECOMIENDA



