Huracán 'Irma' barre el Caribe
El ciclón, considerado el más podereoso del Atlántico en un siglo, impacta las islas de Antigua y Barbuda y Saint Martin, aunque por el momento se desconocen la magnitud de los daños y si hay víctimas
SAN JUAN.
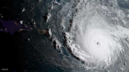
El huracán Irma, de categoría 5 y una de las tormentas más poderosas del Atlántico en un siglo, llegó esta madrugada al Caribe, donde a las 02.00 hora local (06.00 GMT) impactó Antigua y Barbuda.
A su paso por la isla de Antigua, los daños han sido menores a lo esperado, pese a los fuertes vientos y lluvias, conforme a medios locales.
Sin embargo, en la isla de Barbuda, el tendido eléctrico se ha visto seriamente afectado y la estación de policía local resultó parcialmente destruida, así como numerosas viviendas, informó hoy la Oficina Nacional de Desastres en un comunicado.
El daño mayor se registró en el norte de la isla, aunque aún no ha sido evaluado.
Hacia las 05.00 hora local (09.00 GMT) Irma abandonó la isla, de unos 2 mil habitantes, para dirigirse a Saint Martin.
La cantidad de daños y el número de víctimas no se conocían a primera hora del miércoles.
El huracán ha causado importantes daños en dicha isla, donde varios habitantes relataron a los medios locales que hay fuertes inundaciones y durante su paso "llovían tejados y objetos de todo tipo como troncos o mobiliario urbano".
En Saint Martin se han llegado a medir vientos de hasta 295 kilómetros hora.
Próxima parada, Puerto Rico
Según el probable patrón de trayectoria trazado por el Centro Nacional de Huracanes de Estados Unidos (NHC), tras atravesar las Antillas Menores el vórtice del "extremadamente peligroso" Irma pasará cerca o justo al norte de Puerto Rico dentro de unas horas, en la media noche local.
A lo largo de la playa de San Juan, la capital puertorriqueña, los equipos de trabajo se apresuraban para cubrir las ventanas con contrachapado y persianas de metal corrugado en la avenida Ashford, un tramo de restaurantes, hoteles y apartamentos de seis pisos.
Estoy preocupado porque esta es la tormenta más grande que hemos visto aquí", dijo Jonathan Negron, de 41 años, mientras supervisaba a trabajadores que colocaban protecciones en su tienda de souvenirs.
El gobernador de Puerto Rico, Ricardo Rosselló, instó a los 3.4 millones de habitantes del territorio estadunidense a que buscaran cobijo en uno de los 460 refugios de emergencia antes de la llegada del huracán.
Es algo sin precedentes", dijo Rosselló en una rueda de prensa.
EU en alerta
Una vez superado Puerto Rico, Irma pasará probablemente por el norte de la República Dominicana, las Bahamas, el norte de Cuba y alcanzará Florida a finales de semana.
El ciclón se convertiría en la segunda tormenta de gran magnitud que golpea al territorio continental de Estados Unidos en igual cantidad de semanas tras el paso del devastador huracán Harvey, pero su trayectoria precisa sigue siendo incierta.
El presidente de Estados Unidos, Donald Trump, declaró estados de emergencia para Florida, Puerto Rico y las Islas Vírgenes estadounidenses, lo que permitirá el desembolso de fondos de emergencia, dijo la Casa Blanca.
Las autoridades en los Cayos de Florida llamaron al inicio de una evacuación obligatoria de visitantes a la salida del Sol del miércoles y se ordenó el cierre de las escuelas públicas del Sur de Florida.
Aerolíneas cancelaron vuelos hacia la región y American Airlines sumó tres vuelos adicionales a Miami desde San Juan, San Kitts y San Martín.
jrr
EL EDITOR RECOMIENDA









