Prevén lluvias fuertes en sureste de México por frente frío 13 e ‘Iota’
Se esperan precipitaciones de fuertes a intensas en el sureste de México y la Península de Yucatán, con puntuales torrenciales en zonas de Veracruz y Oaxaca

CIUDAD DE MÉXICO.
El Servicio Meteorológico Nacional (SMN) prevé que este martes se registren lluvias de fuertes a intensas en el sureste de México y la Península de Yucatán, con puntuales torrenciales en zonas de Veracruz y Oaxaca, debido al frente frío 13 en interacción con las bandas nubosas del ciclón tropical ‘Iota’.
El SMN advierte en un comunicado que dichas lluvias podrían generar aumento en los niveles de ríos y arroyos, deslaves e inundaciones en zonas bajas.
“La masa de aire frío que impulsa al frente, mantendrá ambiente frío con heladas al amanecer en zonas altas del norte, centro y oriente de México, nieblas en la Sierra Madre Oriental, así como evento de "Norte" muy fuerte a intenso a lo largo del litoral del Golfo de México, Istmo y Golfo de Tehuantepec”, se detalla en el texto.
Pronóstico de precipitación para mañana 17 de noviembre de 2020:
- Lluvias intensas con lluvias puntuales torrenciales (150 a 250 mm): Veracruz (sur y zona montañosa central) y Oaxaca (norte).
- Lluvias muy fuertes con lluvias puntuales intensas (75 a 150 mm): Puebla, Tabasco y Chiapas.
- Lluvias fuertes con lluvias puntuales muy fuertes (50 a 75 mm): Hidalgo y Campeche.
- Intervalos de chubascos con lluvias puntuales fuertes (25 a 50 mm): Tamaulipas, San Luis Potosí, Querétaro, Yucatán y Quintana Roo.
- Intervalos de chubascos (5.1 a 25 mm): Guerrero.
- Lluvias aisladas (0.1 a 5 mm): Nuevo León, Estado de México, Ciudad de México y Tlaxcala.
Mientras que durante esta noche y madrugada, la interacción del frente frío número 13; mismo que recorre el oriente de México, con un canal de baja presión sobre el sureste del país, ocasiona lluvias persistentes con acumulados torrenciales (150 a 250 mm en 24 horas) en zonas de Veracruz (centro y sur), Oaxaca (norte y oriente), intensas en Puebla, Tabasco y Chiapas; muy fuertes en Campeche, así como lluvias puntuales fuertes en Tamaulipas y San Luis Potosí.
Dichas lluvias podrían acompañarse de descargas eléctricas y fuertes ráfagas de viento, además de generar incremento en los niveles de ríos y arroyos, deslaves e inundaciones en zonas bajas de terreno.
Por otra parte, la masa de aire frío asociada al frente, provocará descenso de temperatura y nieblas en el norte y centro del país, así como evento de “Norte” con rachas de 90 a 100 km/h en el Istmo de Tehuantepec, oleaje de 3 a 5 metros de altura significante en el Golfo de Tehuantepec; rachas de viento de 70 a 80 km/h en la costa de Veracruz y de 50 a 60 km/h en el litoral de Tamaulipas, Tabasco y Campeche.
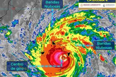
“El centro del Huracán "IOTA" ingresará a tierra durante las próximas horas por las costas de Nicaragua. Su amplia circulación, incrementará la condición de lluvias en zonas de Yucatán y Quintana Roo”, se menciona en el comunicado.
jcp
EL EDITOR RECOMIENDA



